![]() | Официальная правовая информация |
ПАСТАНОВА МІНІСТЭРСТВА КУЛЬТУРЫ РЭСПУБЛІКІ БЕЛАРУСЬ
11 верасня 2025 г. № 91
Аб зацвярджэнні праектаў зон аховы нерухомых матэрыяльных гісторыка-культурных каштоўнасцей (помнікі археалогіі), размешчаных на тэрыторыі Бялыніцкага раёна Магілёўскай вобласці
На падставе пункта 3 артыкула 105 Кодэкса Рэспублікі Беларусь аб культуры і абзаца пятага падпункта 5.27 пункта 5 Палажэння аб Міністэрстве культуры, зацверджанага пастановай Савета Міністраў Рэспублікі Беларусь ад 17 студзеня 2017 г. № 40, Міністэрства культуры Рэспублікі Беларусь ПАСТАНАЎЛЯЕ:
1. Зацвердзіць:
праект зон аховы нерухомай матэрыяльнай гісторыка-культурнай каштоўнасці «Курганы перыяду ранняга сярэднявечча», размешчанай ва ўрочышчы Грэбля, за 0,8 км на ўсход ад в. Гута Бялыніцкага раёна Магілёўскай вобласці (дадаецца);
праект зон аховы нерухомых матэрыяльных гісторыка-культурных каштоўнасцей, размешчаных у в. Дзевашычы Бялыніцкага раёна Магілёўскай вобласці (дадаецца);
праект зон аховы нерухомай матэрыяльнай гісторыка-культурнай каштоўнасці «Курганны могільнік-1, курганны могільнік-2 і курганны могільнік-3 перыяду ранняга сярэднявечча», размешчанай на левым беразе р. Можа, на паўночны захад ад в. Заазер’е Бялыніцкага раёна Магілёўскай вобласці (дадаецца);
праект зон аховы нерухомай матэрыяльнай гісторыка-культурнай каштоўнасці «Курган перыяду ранняга сярэднявечча», размешчанай ва ўрочышчы Дубравы, за 0,8 км на поўнач ад в. Заазер’е Бялыніцкага раёна Магілёўскай вобласці (дадаецца);
праект зон аховы нерухомай матэрыяльнай гісторыка-культурнай каштоўнасці «Курганны могільнік перыяду ранняга сярэднявечча», размешчанай на заходняй ускраіне в. Заполле Бялыніцкага раёна Магілёўскай вобласці (дадаецца);
праект зон аховы нерухомай матэрыяльнай гісторыка-культурнай каштоўнасці «Курганны могільнік-1 і курганны могільнік-2 перыяду ранняга сярэднявечча», размешчанай за 2 км на паўночны захад ад в. Карытніца Бялыніцкага раёна Магілёўскай вобласці (дадаецца);
праект зон аховы нерухомай матэрыяльнай гісторыка-культурнай каштоўнасці «Курганны могільнік перыяду ранняга сярэднявечча», размешчанай 1 км на поўдзень ад в. Краснае Бялыніцкага раёна Магілёўскай вобласці (дадаецца);
праект зон аховы нерухомай матэрыяльнай гісторыка-культурнай каштоўнасці «Курганныя могільнікі перыяду ранняга сярэднявечча», размешчанай у лесе, за 1,2 км на захад ад могілак у в. Асман-Касаева Бялыніцкага раёна Магілёўскай вобласці (дадаецца);
праект зон аховы нерухомай матэрыяльнай гісторыка-культурнай каштоўнасці «Курганны могільнік-1 і курганны могільнік-2 перыяду ранняга сярэднявечча», размешчанай ва ўрочышчы Бор за 1,3 км на поўдзень ад в. Угальшчына Бялыніцкага раёна Магілёўскай вобласці (дадаецца);
праект зон аховы нерухомай матэрыяльнай гісторыка-культурнай каштоўнасці «Гарадзішча перыяду ранняга жалезнага веку», размешчанай на левым беразе р. Лемнічанка, на паўднёва-заходняй ускраіне в. Лемніца Бялыніцкага раёна Магілёўскай вобласці(дадаецца);
праект зон аховы нерухомых матэрыяльных гісторыка-культурных каштоўнасцей каля аграгарадка Цехцін Бялыніцкага раёна Магілёўскай вобласці (дадаецца).
2. Гэта пастанова ўступае ў сілу пасля яе афіцыйнага апублікавання.
|
Міністр |
Р.І.Чарнецкі |
|
|
Пастанова |
Праект зон аховы нерухомай матэрыяльнай гісторыка-культурнай каштоўнасці «Курганы перыяду ранняга сярэднявечча», размешчанай ва ўрочышчы Грэбля, за 0,8 км на ўсход ад в. Гута Бялыніцкага раёна Магілёўскай вобласці
ГЛАВА 1
АГУЛЬНЫЯ ПАЛАЖЭННІ
1. Праект зон аховы нерухомай матэрыяльнай гісторыка-культурнай каштоўнасці «Курганы перыяду ранняга сярэднявечча», размешчанай ва ўрочышчы Грэбля, за 0,8 км на ўсход ад в. Гута Бялыніцкага раёна Магілёўскай вобласці (далей – праект зон аховы), распрацаваны на падставе пункта 3 артыкула 105 Кодэкса Рэспублікі Беларусь аб культуры.
2. «Курганы перыяду ранняга сярэднявечча», размешчаныя ва ўрочышчы Грэбля, за 0,8 км на ўсход ад в. Гута Бялыніцкага раёна Магілёўскай вобласці, з’яўляюцца нерухомай матэрыяльнай гісторыка-культурнай каштоўнасцю катэгорыі «3» (далей – гісторыка-культурная каштоўнасць), якая ўключана ў Дзяржаўны спіс гісторыка-культурных каштоўнасцей Рэспублікі Беларусь пад шыфрам 513В000344.
3. Праект зон аховы распрацаваны ўстановай адукацыі «Магілёўскі дзяржаўны ўніверсітэт імя А.А.Куляшова» па заказе дзяржаўнай лесагаспадарчай установы «Бялыніцкі лясгас».
4. Праект зон аховы распрацаваны з мэтай забеспячэння захавання гісторыка-культурнай каштоўнасці і яе навакольнага асяроддзя, заключаецца ў вызначэнні мяжы тэрыторыі гісторыка-культурнай каштоўнасці, ахоўнай зоны гісторыка-культурнай каштоўнасці (далей – ахоўная зона), зоны аховы культурнага пласта (слоя) гісторыка-культурнай каштоўнасці (далей – зона аховы культурнага пласта (слоя) і іх межаў, рэжымаў іх утрымання і выкарыстання.
5. Праект зон аховы распрацаваны на падставе архіўна-бібліяграфічных, натурных і археалагічных даследаванняў, аналізу ландшафту.
Схема зон аховы гісторыка-культурнай каштоўнасці дадаецца.
ГЛАВА 2
ТЭРЫТОРЫЯ ГІСТОРЫКА-КУЛЬТУРНАЙ КАШТОЎНАСЦІ
6. Тэрыторыя гісторыка-культурнай каштоўнасці ўстаноўлена ў межах насыпаў двух курганоў.
7. Мяжой тэрыторыі гісторыка-культурнай каштоўнасці згодна з дадаткам з’яўляецца ўмоўная лінія, якая праходзіць праз кропкі 1–2–3–4–1 і праз кропкі 5–6–7–8–5.
8. На тэрыторыі гісторыка-культурнай каштоўнасці выкананне земляных, будаўнічых, меліярацыйных і іншых работ, не звязаных з навуковым вывучэннем гісторыка-культурнай каштоўнасці, магчыма пасля пазбаўлення яе статусу гісторыка-культурнай каштоўнасці ў адпаведнасці з пунктам 4 артыкула 94 Кодэкса Рэспублікі Беларусь аб культуры.
ГЛАВА 3
АХОЎНАЯ ЗОНА. ЗОНА АХОВЫ КУЛЬТУРНАГА ПЛАСТА (СЛОЯ)
9. Ахоўная зона і зона аховы культурнага пласта (слоя) устаноўлены для выяўлення і даследавання магчымых археалагічных артэфактаў на тэрыторыі, непасрэдна прылеглай да гісторыка-культурнай каштоўнасці.
Ахоўная зона супадае з зонай аховы культурнага пласта (слоя).
10. Ахоўная зона і зона аховы культурнага пласта (слоя) прылягае да гісторыка-культурнай каштоўнасці.
Знешняй мяжой тэрыторыі ахоўнай зоны і зоны аховы культурнага пласта (слоя) згодна з дадаткам з’яўляецца ўмоўная лінія, якая праходзіць праз кропкі 9–10–11–12–13–14–15–16–9.
Унутранай мяжой ахоўнай зоны і зоны аховы культурнага пласта (слоя) з’яўляецца мяжа тэрыторыі гісторыка-культурнай каштоўнасці.
11. На тэрыторыі ахоўнай зоны і зоны аховы культурнага пласта (слоя) забараняецца:
выкананне земляных, будаўнічых і меліярацыйных работ без забеспячэння археалагічнага нагляду і рэалізацыі мер па ахове археалагічных аб’ектаў у адпаведнасці з артыкуламі 129 і 130 Кодэкса Рэспублікі Беларусь аб культуры;
добраўпарадкаванне тэрыторыі, якое пагражае захаванню адметных элементаў пахавальнага комплексу.
|
|
да праекта зон аховы нерухомай |
СХЕМА ЗОН АХОВЫ ГІСТОРЫКА-КУЛЬТУРНАЙ КАШТОЎНАСЦІ

|
|
Пастанова |
Праект зон аховы нерухомых матэрыяльных гісторыка-культурных каштоўнасцей, размешчаных у в. Дзевашычы Бялыніцкага раёна Магілёўскай вобласці
ГЛАВА 1
АГУЛЬНЫЯ ПАЛАЖЭННІ
1. Праект зон аховы нерухомых матэрыяльных гісторыка-культурных каштоўнасцей, размешчаных у в. Дзевашычы Бялыніцкага раёна Магілёўскай вобласці (далей – праект зон аховы), распрацаваны на падставе пунктаў 2 і 3 артыкула 105 Кодэкса Рэспублікі Беларусь аб культуры.
2. Праект зон аховы распрацаваны для наступных нерухомых матэрыяльных гісторыка-культурных каштоўнасцей (далей, калі не ўказана іншае, – гісторыка-культурныя каштоўнасці), уключаных у Дзяржаўны спіс гісторыка-культурных каштоўнасцей Рэспублікі Беларусь:
«Курганны могільнік перыяду ранняга сярэднявечча», размешчаны ва ўрочышчы Курганне, за 0,2 км на паўднёвы ўсход ад в. Дзевашычы Бялыніцкага раёна Магілёўскай вобласці (далей – курганны могільнік), катэгорыя «3», шыфр 513В000349;
«Селішча перыяду ранняга жалезнага веку і ранняга сярэднявечча», размешчанае каля курганнага могільніка ў в Дзевашычы Бялыніцкага раёна Магілёўскай вобласці (далей – селішча), катэгорыя «3», шыфр 513В000350.
3. Праект зон аховы распрацаваны ўстановай адукацыі «Магілёўскі дзяржаўны ўніверсітэт імя А.А.Куляшова» па заказе дзяржаўнай лесагаспадарчай установы «Бялыніцкі лясгас».
4. Праект зон аховы распрацаваны з мэтай забеспячэння захавання гісторыка-культурных каштоўнасцей і іх навакольнага асяроддзя, заключаецца ў вызначэнні мяжы тэрыторыі гісторыка-культурных каштоўнасцей, ахоўнай зоны гісторыка-культурных каштоўнасцей (далей – ахоўная зона), зоны аховы культурнага пласта (слоя) гісторыка-культурных каштоўнасцей (далей – зона аховы культурнага пласта (слоя) і іх межаў, рэжымаў іх утрымання і выкарыстання.
5. Праект зон аховы распрацаваны на падставе архіўна-бібліяграфічных, натурных і археалагічных даследаванняў, аналізу ландшафту.
Схема зон аховы гісторыка-культурных каштоўнасцей дадаецца.
ГЛАВА 2
ТЭРЫТОРЫЯ ГІСТОРЫКА-КУЛЬТУРНЫХ КАШТОЎНАСЦЕЙ
6. Тэрыторыя гісторыка-культурных каштоўнасцей устаноўлена ў межах тэрыторыі курганнага могільніка (35 насыпаў) і прылеглых раўчукоў, якія выяўлены пры правядзенні археалагічных даследаванняў, і ў межах селішча.
7. Мяжой тэрыторыі курганнага могільніка згодна з дадаткам з’яўляецца ўмоўная лінія, якая праходзіць праз кропкі 1–2–3–4–5–1.
8. Мяжой тэрыторыі селішча згодна з дадаткам з’яўляецца ўмоўная лінія, якая праходзіць праз кропкі 6–7–8–9–10–6.
9. На тэрыторыі гісторыка-культурных каштоўнасцей выкананне земляных, будаўнічых, меліярацыйных і іншых работ, не звязаных з навуковым вывучэннем гісторыка-культурных каштоўнасцей, магчыма пасля пазбаўлення іх статусу гісторыка-культурных каштоўнасцей у адпаведнасці з пунктам 4 артыкула 94 Кодэкса Рэспублікі Беларусь аб культуры.
ГЛАВА 3
АХОЎНАЯ ЗОНА. ЗОНА АХОВЫ КУЛЬТУРНАГА ПЛАСТА (СЛОЯ)
10. Ахоўная зона і зона аховы культурнага пласта (слоя) устаноўлены для выяўлення і даследавання магчымых археалагічных артэфактаў на тэрыторыі, непасрэдна прылеглай да гісторыка-культурных каштоўнасцей.
Ахоўная зона супадае з зонай аховы культурнага пласта (слоя).
11. Ахоўная зона і зона аховы культурнага пласта (слоя) прылягае да тэрыторыі гісторыка-культурных каштоўнасцей.
Знешняй мяжой тэрыторыі ахоўнай зоны і зоны аховы культурнага пласта (слоя) згодна з дадаткам з’яўляецца ўмоўная лінія, якая праходзіць праз кропкі 11–12–13–14–15–16–17–18–19–20–11.
Унутранай мяжой ахоўнай зоны і зоны аховы культурнага пласта (слоя) з’яўляецца мяжа тэрыторыі гісторыка-культурных каштоўнасцей.
12. На тэрыторыі ахоўнай зоны і зоны аховы культурнага пласта (слоя) забараняецца:
выкананне земляных, будаўнічых і меліярацыйных работ без забеспячэння археалагічнага нагляду і рэалізацыі мер па ахове археалагічных аб’ектаў у адпаведнасці з артыкуламі 129 і 130 Кодэкса Рэспублікі Беларусь аб культуры;
добраўпарадкаванне тэрыторый, якое пагражае захаванню адметных элементаў пахавальнага комплексу.
|
|
да праекта зон аховы нерухомых |
СХЕМА ЗОН АХОВЫ ГІСТОРЫКА-КУЛЬТУРНЫХ КАШТОЎНАСЦЕЙ

|
|
Пастанова |
Праект зон аховы нерухомай матэрыяльнай гісторыка-культурнай каштоўнасці «Курганны могільнік-1, курганны могільнік-2 і курганны могільнік-3 перыяду ранняга сярэднявечча», размешчанай на левым беразе р. Можа, на паўночны захад ад в. Заазер’е Бялыніцкага раёна Магілёўскай вобласці
ГЛАВА 1
АГУЛЬНЫЯ ПАЛАЖЭННІ
1. Праект зон аховы нерухомай матэрыяльнай гісторыка-культурнай каштоўнасці «Курганны могільнік-1, курганны могільнік-2 і курганны могільнік-3 перыяду ранняга сярэднявечча», размешчанай на левым беразе р. Можа, на паўночны захад ад в. Заазер’е Бялыніцкага раёна Магілёўскай вобласці (далей – праект зон аховы), распрацаваны на падставе пункта 3 артыкула 105 Кодэкса Рэспублікі Беларусь аб культуры.
2. «Курганны могільнік-1, курганны могільнік-2 і курганны могільнік-3 перыяду ранняга сярэднявечча», размешчаныя на левым беразе р. Можа, на паўночны захад ад в. Заазер’е Бялыніцкага раёна Магілёўскай вобласці, з’яўляюцца нерухомай матэрыяльнай гісторыка-культурнай каштоўнасцю катэгорыі «3» (далей – гісторыка-культурная каштоўнасць), якая ўключана ў Дзяржаўны спіс гісторыка-культурных каштоўнасцей Рэспублікі Беларусь пад шыфрам 513В000352.
3. Праект зон аховы распрацаваны ўстановай адукацыі «Магілёўскі дзяржаўны ўніверсітэт імя А.А.Куляшова» па заказе дзяржаўнай лесагаспадарчай установы «Бялыніцкі лясгас».
4. Праект зон аховы распрацаваны з мэтай забеспячэння захавання гісторыка-культурнай каштоўнасці і яе навакольнага асяроддзя, заключаецца ў вызначэнні мяжы тэрыторыі гісторыка-культурнай каштоўнасці, ахоўнай зоны гісторыка-культурнай каштоўнасці (далей – ахоўная зона) і зоны аховы культурнага пласта (слоя) гісторыка-культурнай каштоўнасці (далей – зона аховы культурнага пласта (слоя), іх межаў, рэжымаў іх утрымання і выкарыстання.
5. Праект зон аховы распрацаваны на падставе архіўна-бібліяграфічных, натурных і археалагічных даследаванняў, аналізу ландшафту.
Схемы зон аховы гісторыка-культурнай каштоўнасці дадаюцца.
ГЛАВА 2
ТЭРЫТОРЫЯ ГІСТОРЫКА-КУЛЬТУРНАЙ КАШТОЎНАСЦІ
6. Тэрыторыя гісторыка-культурнай каштоўнасці ўстаноўлена ў межах тэрыторыі курганнага могільніка-1 (2 насыпы), курганнага могільніка-2 (41 насып) і курганнага могільніка-3 (110 насыпаў).
7. Мяжой тэрыторыі курганнага могільніка-1 згодна з дадаткам з’яўляецца ўмоўная лінія, якая праходзіць праз кропкі 1–2–3–4–1.
Мяжой тэрыторыі курганнага могільніка-2 згодна з дадаткам з’яўляецца ўмоўная лінія, якая праходзіць праз кропкі 9–10–11–12–9.
Мяжой тэрыторыі курганнага могільніка-3 згодна з дадаткам з’яўляецца ўмоўная лінія, якая праходзіць праз кропкі 21–22–23–24–21.
8. На тэрыторыі гісторыка-культурнай каштоўнасці выкананне земляных, будаўнічых, меліярацыйных і іншых работ, не звязаных з навуковым вывучэннем гісторыка-культурнай каштоўнасці, магчыма пасля пазбаўлення яе статусу гісторыка-культурнай каштоўнасці ў адпаведнасці з пунктам 4 артыкула 94 Кодэкса Рэспублікі Беларусь аб культуры.
ГЛАВА 3
АХОЎНАЯ ЗОНА. ЗОНА АХОВЫ КУЛЬТУРНАГА ПЛАСТА (СЛОЯ)
9. Ахоўная зона ўстаноўлена для выяўлення і даследавання магчымых археалагічных артэфактаў на тэрыторыі, непасрэдна прылеглай да гісторыка-культурнай каштоўнасці.
Ахоўная зона супадае з зонай аховы культурнага пласта (слоя).
10. Знешняй мяжой тэрыторыі ахоўнай зоны і зоны аховы культурнага пласта (слоя) курганнага могільніка-1 згодна з дадаткам з’яўляецца ўмоўная лінія, якая праходзіць праз кропкі 5–6–7–8–5.
Знешняй мяжой тэрыторыі ахоўнай зоны і зоны аховы культурнага пласта (слоя) курганнага могільніка-2 згодна з дадаткам з’яўляецца ўмоўная лінія, якая праходзіць праз кропкі 13–14–15–16–10–17–18–19–20–13.
Знешняй мяжой тэрыторыі ахоўнай зоны і зоны аховы культурнага пласта (слоя) курганнага могільніка-3 згодна з дадаткам з’яўляецца ўмоўная лінія, якая праходзіць праз кропкі 25–26–27–28–25.
Унутранай мяжой ахоўнай зоны і зоны аховы культурнага пласта (слоя) з’яўляецца мяжа тэрыторыі гісторыка-культурнай каштоўнасці.
11. На тэрыторыі ахоўнай зоны і зоны аховы культурнага пласта (слоя) забараняецца:
выкананне земляных, будаўнічых і меліярацыйных работ без забеспячэння археалагічнага нагляду і рэалізацыі мер па ахове археалагічных аб’ектаў у адпаведнасці з артыкуламі 129 і 130 Кодэкса Рэспублікі Беларусь аб культуры;
добраўпарадкаванне тэрыторый, якое пагражае захаванню адметных элементаў пахавальнага комплексу.
|
|
да праекта зон аховы нерухомай |
СХЕМЫ ЗОН АХОВЫ ГІСТОРЫКА-КУЛЬТУРНАЙ КАШТОЎНАСЦІ



|
|
Пастанова |
Праект зон аховы нерухомай матэрыяльнай гісторыка-культурнай каштоўнасці «Курган перыяду ранняга сярэднявечча», размешчанай ва ўрочышчы Дубравы, за 0,8 км на поўнач ад в. Заазер’е Бялыніцкага раёна Магілёўскай вобласці
ГЛАВА 1
АГУЛЬНЫЯ ПАЛАЖЭННІ
1. Праект зон аховы нерухомай матэрыяльнай гісторыка-культурнай каштоўнасці «Курган перыяду ранняга сярэднявечча», размешчанай ва ўрочышчы Дубравы, за 0,8 км на поўнач ад в. Заазер’е Бялыніцкага раёна Магілёўскай вобласці (далей – праект зон аховы), распрацаваны на падставе пункта 3 артыкула 105 Кодэкса Рэспублікі Беларусь аб культуры.
2. «Курган перыяду ранняга сярэднявечча», размешчаны ва ўрочышчы Дубравы, за 0,8 км на поўнач ад в. Заазер’е Бялыніцкага раёна Магілёўскай вобласці, з’яўляецца нерухомай матэрыяльнай гісторыка-культурнай каштоўнасцю катэгорыі «3» (далей – гісторыка-культурная каштоўнасць), якая ўключана ў Дзяржаўны спіс гісторыка-культурных каштоўнасцей Рэспублікі Беларусь пад шыфрам 513В000351.
3. Праект зон аховы распрацаваны ўстановай адукацыі «Магілёўскі дзяржаўны ўніверсітэт імя А.А.Куляшова» па заказе дзяржаўнай лесагаспадарчай установы «Бялыніцкі лясгас».
4. Праект зон аховы распрацаваны з мэтай забеспячэння захавання гісторыка-культурнай каштоўнасці і яе навакольнага асяроддзя, заключаецца ў вызначэнні мяжы тэрыторыі гісторыка-культурнай каштоўнасці, ахоўнай зоны гісторыка-культурнай каштоўнасці (далей – ахоўная зона), зоны аховы культурнага пласта (слоя) гісторыка-культурнай каштоўнасці (далей – зона аховы культурнага пласта (слоя) і іх межаў, рэжымаў іх утрымання і выкарыстання.
5. Праект зон аховы распрацаваны на падставе архіўна-бібліяграфічных, натурных і археалагічных даследаванняў, аналізу ландшафту.
Схема зон аховы гісторыка-культурнай каштоўнасці дадаецца.
ГЛАВА 2
ТЭРЫТОРЫЯ ГІСТОРЫКА-КУЛЬТУРНАЙ КАШТОЎНАСЦІ
6. Тэрыторыя гісторыка-культурнай каштоўнасці ўстаноўлена ў межах тэрыторыі кургана.
7. Мяжой тэрыторыі гісторыка-культурнай каштоўнасці згодна з дадаткам з’яўляецца ўмоўная лінія, якая праходзіць праз кропкі 1–2–3–4–1.
8. На тэрыторыі гісторыка-культурнай каштоўнасці выкананне земляных, будаўнічых, меліярацыйных і іншых работ, не звязаных з навуковым вывучэннем гісторыка-культурнай каштоўнасці, магчыма пасля пазбаўлення яе статусу гісторыка-культурнай каштоўнасці ў адпаведнасці з пунктам 4 артыкула 94 Кодэкса Рэспублікі Беларусь аб культуры.
ГЛАВА 3
АХОЎНАЯ ЗОНА. ЗОНА АХОВЫ КУЛЬТУРНАГА ПЛАСТА (СЛОЯ)
9. Ахоўная зона і зона аховы культурнага пласта (слоя) устаноўлены для выяўлення і даследавання магчымых археалагічных артэфактаў на тэрыторыі, непасрэдна прылеглай да гісторыка-культурнай каштоўнасці.
Ахоўная зона супадае з зонай аховы культурнага пласта (слоя).
10. Ахоўная зона і зона аховы культурнага пласта (слоя) прылягае да гісторыка-культурнай каштоўнасці.
Знешняй мяжой тэрыторыі ахоўнай зоны і зоны аховы культурнага пласта (слоя) згодна з дадаткам з’яўляецца ўмоўная лінія, якая праходзіць праз кропкі 5–6–7–8–5.
Унутранай мяжой ахоўнай зоны і зоны аховы культурнага пласта (слоя) з’яўляецца мяжа тэрыторыі гісторыка-культурнай каштоўнасці.
11. На тэрыторыі ахоўнай зоны і зоны аховы культурнага пласта (слоя) забараняецца:
выкананне земляных, будаўнічых і меліярацыйных работ без забеспячэння археалагічнага нагляду і рэалізацыі мер па ахове археалагічных аб’ектаў у адпаведнасці з артыкуламі 129 і 130 Кодэкса Рэспублікі Беларусь аб культуры;
добраўпарадкаванне тэрыторыі, якое пагражае захаванню адметных элементаў пахавальнага комплексу.
|
|
да праекта зон аховы нерухомай |
СХЕМА ЗОН АХОВЫ ГІСТОРЫКА-КУЛЬТУРНАЙ КАШТОЎНАСЦІ

|
|
Пастанова |
Праект зон аховы нерухомай матэрыяльнай гісторыка-культурнай каштоўнасці «Курганны могільнік перыяду ранняга сярэднявечча», размешчанай на заходняй ускраіне в. Заполле Бялыніцкага раёна Магілёўскай вобласці
ГЛАВА 1
АГУЛЬНЫЯ ПАЛАЖЭННІ
1. Праект зон аховы нерухомай матэрыяльнай гісторыка-культурнай каштоўнасці «Курганны могільнік перыяду ранняга сярэднявечча», размешчанай на заходняй ускраіне в. Заполле Бялыніцкага раёна Магілёўскай вобласці (далей – праект зон аховы), распрацаваны на падставе пункта 3 артыкула 105 Кодэкса Рэспублікі Беларусь аб культуры.
2. «Курганны могільнік перыяду ранняга сярэднявечча», размешчаны на заходняй ускраіне в. Заполле Бялыніцкага раёна Магілёўскай вобласці, з’яўляецца нерухомай матэрыяльнай гісторыка-культурнай каштоўнасцю катэгорыі «3» (далей – гісторыка-культурная каштоўнасць), якая ўключана ў Дзяржаўны спіс гісторыка-культурных каштоўнасцей Рэспублікі Беларусь пад шыфрам 513В000356.
3. Праект зон аховы распрацаваны ўстановай адукацыі «Магілёўскі дзяржаўны ўніверсітэт імя А.А.Куляшова» па заказе дзяржаўнай лесагаспадарчай установы «Бялыніцкі лясгас».
4. Праект зон аховы распрацаваны з мэтай забеспячэння захавання гісторыка-культурнай каштоўнасці і яе навакольнага асяроддзя, заключаецца ў вызначэнні мяжы тэрыторыі гісторыка-культурнай каштоўнасці, ахоўнай зоны гісторыка-культурнай каштоўнасці (далей – ахоўная зона), зоны аховы культурнага пласта (слоя) гісторыка-культурнай каштоўнасці (далей – зона аховы культурнага пласта (слоя) і іх межаў, рэжымаў іх утрымання і выкарыстання.
5. Праект зон аховы распрацаваны на падставе архіўна-бібліяграфічных, натурных і археалагічных даследаванняў, аналізу ландшафту.
Схема зон аховы гісторыка-культурнай каштоўнасці дадаецца.
ГЛАВА 2
ТЭРЫТОРЫЯ ГІСТОРЫКА-КУЛЬТУРНАЙ КАШТОЎНАСЦІ
6. Тэрыторыя гісторыка-культурнай каштоўнасці ўстаноўлена ў межах тэрыторыі курганнага могільніка (54 насыпы).
7. Мяжой тэрыторыі гісторыка-культурнай каштоўнасці згодна з дадаткам з’яўляецца ўмоўная лінія, якая праходзіць праз кропкі 1–2–3–4–5–6–7–8–1.
8. На тэрыторыі гісторыка-культурнай каштоўнасці выкананне земляных, будаўнічых, меліярацыйных і іншых работ, не звязаных з навуковым вывучэннем гісторыка-культурнай каштоўнасці, магчыма пасля пазбаўлення яе статусу гісторыка-культурнай каштоўнасці ў адпаведнасці з пунктам 4 артыкула 94 Кодэкса Рэспублікі Беларусь аб культуры.
ГЛАВА 3
АХОЎНАЯ ЗОНА. ЗОНА АХОВЫ КУЛЬТУРНАГА ПЛАСТА (СЛОЯ)
9. Ахоўная зона і зона аховы культурнага пласта (слоя) устаноўлены для выяўлення і даследавання магчымых археалагічных артэфактаў на тэрыторыі, непасрэдна прылеглай да гісторыка-культурнай каштоўнасці.
Ахоўная зона супадае з зонай аховы культурнага пласта (слоя).
10. Ахоўная зона і зона аховы культурнага пласта (слоя) прылягае да гісторыка-культурнай каштоўнасці.
Знешняй мяжой тэрыторыі ахоўнай зоны і зоны аховы культурнага пласта (слоя) згодна з дадаткам з’яўляецца ўмоўная лінія, якая праходзіць праз кропкі 9–10–11–12–13–14–15–16–9.
Унутранай мяжой ахоўнай зоны і зоны аховы культурнага пласта (слоя) з’яўляецца мяжа тэрыторыі гісторыка-культурнай каштоўнасці.
11. На тэрыторыі ахоўнай зоны і зоны аховы культурнага пласта (слоя) забараняецца:
выкананне земляных, будаўнічых і меліярацыйных работ без забеспячэння археалагічнага нагляду і рэалізацыі мер па ахове археалагічных аб’ектаў у адпаведнасці з артыкуламі 129 і 130 Кодэкса Рэспублікі Беларусь аб культуры;
добраўпарадкаванне тэрыторыі, якое пагражае захаванню адметных элементаў пахавальнага комплексу.
|
|
да праекта зон аховы нерухомай |
СХЕМА ЗОН АХОВЫ ГІСТОРЫКА-КУЛЬТУРНАЙ КАШТОЎНАСЦІ

|
|
Пастанова |
Праект зон аховы нерухомай матэрыяльнай гісторыка-культурнай каштоўнасці «Курганны могільнік-1 і курганны могільнік-2 перыяду ранняга сярэднявечча», размешчанай за 2 км на паўночны захад ад в. Карытніца Бялыніцкага раёна Магілёўскай вобласці
ГЛАВА 1
АГУЛЬНЫЯ ПАЛАЖЭННІ
1. Праект зон аховы нерухомай матэрыяльнай гісторыка-культурнай каштоўнасці «Курганны могільнік-1 і курганны могільнік-2 перыяду ранняга сярэднявечча», размешчанай за 2 км на паўночны захад ад в. Карытніца Бялыніцкага раёна Магілёўскай вобласці (далей – праект зон аховы), распрацаваны на падставе пункта 3 артыкула 105 Кодэкса Рэспублікі Беларусь аб культуры.
2. «Курганны могільнік-1 і курганны могільнік-2 перыяду ранняга сярэднявечча», размешчаныя за 2 км на паўночны захад ад в. Карытніца Бялыніцкага раёна Магілёўскай вобласці, з’яўляюцца нерухомай матэрыяльнай гісторыка-культурнай каштоўнасцю катэгорыі «3» (далей – гісторыка-культурная каштоўнасць), якая ўключана ў Дзяржаўны спіс гісторыка-культурных каштоўнасцей Рэспублікі Беларусь пад шыфрам 513В000361.
3. Праект зон аховы распрацаваны ўстановай адукацыі «Магілёўскі дзяржаўны ўніверсітэт імя А.А.Куляшова» па заказе дзяржаўнай лесагаспадарчай установы «Бялыніцкі лясгас».
4. Праект зон аховы распрацаваны з мэтай забеспячэння захавання гісторыка-культурнай каштоўнасці і яе навакольнага асяроддзя, заключаецца ў вызначэнні мяжы тэрыторыі гісторыка-культурнай каштоўнасці, ахоўнай зоны гісторыка-культурнай каштоўнасці (далей – ахоўная зона), зоны аховы культурнага пласта (слоя) гісторыка-культурнай каштоўнасці (далей – зона аховы культурнага пласта (слоя) і іх межаў, рэжымаў іх утрымання і выкарыстання.
5. Праект зон аховы распрацаваны на падставе архіўна-бібліяграфічных, натурных і археалагічных даследаванняў, аналізу ландшафту.
Схемы зон аховы гісторыка-культурнай каштоўнасці дадаюцца.
ГЛАВА 2
ТЭРЫТОРЫЯ ГІСТОРЫКА-КУЛЬТУРНАЙ КАШТОЎНАСЦІ
6. Тэрыторыя курганнага могільніка-1 устаноўлена ў межах тэрыторыі 30 курганных насыпаў.
Тэрыторыя курганнага-могільніка-2 складаецца з пяці ўчасткаў і ўстаноўлена ў межах тэрыторыі 13 насыпаў.
7. Мяжой тэрыторыі курганнага могільніка-1 згодна з дадаткам з’яўляецца ўмоўная лінія, якая праходзіць праз кропкі 1–2–3–4–5–6–1.
Мяжой першага ўчастка курганнага могільніка-2 згодна з дадаткам з’яўляецца ўмоўная лінія, якая праходзіць праз кропкі 13–14–15–16–13.
Мяжой другога ўчастка курганнага могільніка-2 згодна з дадаткам з’яўляецца ўмоўная лінія, якая праходзіць праз кропкі 17–18–19–20–17.
Мяжой трэцяга ўчастка курганнага могільніка-2 згодна з дадаткам з’яўляецца ўмоўная лінія, якая праходзіць праз кропкі 21–22–23–24–21.
Мяжой чацвёртага ўчастка курганнага могільніка-2 згодна з дадаткам з’яўляецца ўмоўная лінія, якая праходзіць праз кропкі 25–26–27–28–25.
Мяжой пятага ўчастка курганнага могільніка-2 згодна з дадаткам з’яўляецца ўмоўная лінія, якая праходзіць праз кропкі 29–30–31–32–29.
8. На тэрыторыі гісторыка-культурнай каштоўнасці выкананне земляных, будаўнічых, меліярацыйных і іншых работ, не звязаных з навуковым вывучэннем гісторыка-культурнай каштоўнасці, магчыма пасля пазбаўлення яе статусу гісторыка-культурнай каштоўнасці ў адпаведнасці з пунктам 4 артыкула 94 Кодэкса Рэспублікі Беларусь аб культуры.
ГЛАВА 3
АХОЎНАЯ ЗОНА. ЗОНА АХОВЫ КУЛЬТУРНАГА ПЛАСТА (СЛОЯ)
9. Ахоўная зона і зона аховы культурнага пласта (слоя) устаноўлены для выяўлення і даследавання магчымых археалагічных артэфактаў на тэрыторыі, непасрэдна прылеглай да гісторыка-культурнай каштоўнасці.
Ахоўная зона супадае з зонай аховы культурнага пласта (слоя).
Ахоўная зона і зона аховы культурнага пласта (слоя) курганнага могільніка-2 складаюцца з 5 участкаў.
10. Знешняй мяжой тэрыторыі ахоўнай зоны і зоны аховы культурнага пласта (слоя) курганнага могільніка-1 згодна з дадаткам з’яўляецца ўмоўная лінія, якая праходзіць праз кропкі 7–8–9–10–11–12–7.
Знешняй мяжой тэрыторыі першага ўчастка ахоўнай зоны і зоны аховы культурнага пласта (слоя) курганнага могільніка-2 згодна з дадаткам з’яўляецца ўмоўная лінія, якая праходзіць праз кропкі 33–34–35–36–33.
Знешняй мяжой тэрыторыі другога ўчастка ахоўнай зоны і зоны аховы культурнага пласта (слоя) курганнага могільніка-2 згодна з дадаткам з’яўляецца ўмоўная лінія, якая праходзіць праз кропкі 37–38–39–40–37.
Знешняй мяжой тэрыторыі трэцяга ўчастка ахоўнай зоны і зоны аховы культурнага пласта (слоя) курганнага могільніка-2 згодна з дадаткам з’яўляецца ўмоўная лінія, якая праходзіць праз кропкі 41–42–43–44–41.
Знешняй мяжой тэрыторыі чацвёртага ўчастка ахоўнай зоны і зоны аховы культурнага пласта (слоя) курганнага могільніка-2 згодна з дадаткам з’яўляецца ўмоўная лінія, якая праходзіць праз кропкі 45–46–47–48–45.
Знешняй мяжой тэрыторыі пятага ўчастка ахоўнай зоны і зоны аховы культурнага пласта (слоя) курганнага могільніка-2 згодна з дадаткам з’яўляецца ўмоўная лінія, якая праходзіць праз кропкі 49–50–51–52–49.
Унутранай мяжой ахоўнай зоны і зоны аховы культурнага пласта (слоя) з’яўляецца мяжа тэрыторыі гісторыка-культурнай каштоўнасці.
11. На тэрыторыі ахоўнай зоны і зоны аховы культурнага пласта (слоя) забараняецца:
выкананне земляных, будаўнічых і меліярацыйных работ без забеспячэння археалагічнага нагляду і рэалізацыі мер па ахове археалагічных аб’ектаў у адпаведнасці з артыкуламі 129 і 130 Кодэкса Рэспублікі Беларусь аб культуры;
добраўпарадкаванне тэрыторыі, якое пагражае захаванню адметных элементаў пахавальнага комплексу.
|
|
да праекта зон аховы нерухомай |
СХЕМЫ ЗОН АХОВЫ ГІСТОРЫКА-КУЛЬТУРНАЙ КАШТОЎНАСЦІ


|
|
Пастанова |
Праект зон аховы нерухомай матэрыяльнай гісторыка-культурнай каштоўнасці «Курганны могільнік перыяду ранняга сярэднявечча», размешчанай 1 км на поўдзень ад в. Краснае Бялыніцкага раёна Магілёўскай вобласці
ГЛАВА 1
АГУЛЬНЫЯ ПАЛАЖЭННІ
1. Праект зон аховы нерухомай матэрыяльнай гісторыка-культурнай каштоўнасці «Курганны могільнік перыяду ранняга сярэднявечча», размешчанай 1 км на поўдзень ад в. Краснае Бялыніцкага раёна Магілёўскай вобласці (далей – праект зон аховы), распрацаваны на падставе пункта 3 артыкула 105 Кодэкса Рэспублікі Беларусь аб культуры.
2. «Курганны могільнік перыяду ранняга сярэднявечча», размешчаны 1 км на поўдзень ад в. Краснае Бялыніцкага раёна Магілёўскай вобласці, з’яўляецца нерухомай матэрыяльнай гісторыка-культурнай каштоўнасцю катэгорыі «3» (далей – гісторыка-культурная каштоўнасць), якая ўключана ў Дзяржаўны спіс гісторыка-культурных каштоўнасцей Рэспублікі Беларусь пад шыфрам 513В000366.
3. Праект зон аховы распрацаваны ўстановай адукацыі «Магілёўскі дзяржаўны ўніверсітэт імя А.А.Куляшова» па заказе дзяржаўнай лесагаспадарчай установы «Бялыніцкі лясгас».
4. Праект зон аховы распрацаваны з мэтай забеспячэння захавання гісторыка-культурнай каштоўнасці і яе навакольнага асяроддзя, заключаецца ў вызначэнні мяжы тэрыторыі гісторыка-культурнай каштоўнасці, ахоўнай зоны гісторыка-культурнай каштоўнасці (далей – ахоўная зона), зоны аховы культурнага пласта (слоя) гісторыка-культурнай каштоўнасці (далей – зона аховы культурнага пласта (слоя) і іх межаў, рэжымаў іх утрымання і выкарыстання.
5. Праект зон аховы распрацаваны на падставе архіўна-бібліяграфічных, натурных і археалагічных даследаванняў, аналізу ландшафту.
Схема зон аховы гісторыка-культурнай каштоўнасці дадаецца.
ГЛАВА 2
ТЭРЫТОРЫЯ ГІСТОРЫКА-КУЛЬТУРНАЙ КАШТОЎНАСЦІ
6. Тэрыторыя гісторыка-культурнай каштоўнасці ўстаноўлена ў межах груп курганоў (6 і 3 насыпаў) і складаецца з трох участкаў.
7. Мяжой першага ўчастка тэрыторыі гісторыка-культурнай каштоўнасці згодна з дадаткам з’яўляецца ўмоўная лінія, якая праходзіць праз кропкі 1–2–3–4–1.
Мяжой другога ўчастка тэрыторыі гісторыка-культурнай каштоўнасці згодна з дадаткам з’яўляецца ўмоўная лінія, якая праходзіць праз кропкі 5–6–7–8–9–10–11–12–5.
Мяжой трэцяга ўчастка тэрыторыі гісторыка-культурнай каштоўнасці згодна з дадаткам з’яўляецца ўмоўная лінія, якая праходзіць праз кропкі 13–14–15–16–13.
8. На тэрыторыі гісторыка-культурнай каштоўнасці выкананне земляных, будаўнічых, меліярацыйных і іншых работ, не звязаных з навуковым вывучэннем гісторыка-культурнай каштоўнасці, магчыма пасля пазбаўлення яе статусу гісторыка-культурнай каштоўнасці ў адпаведнасці з пунктам 4 артыкула 94 Кодэкса Рэспублікі Беларусь аб культуры.
ГЛАВА 3
АХОЎНАЯ ЗОНА. ЗОНА АХОВЫ КУЛЬТУРНАГА ПЛАСТА (СЛОЯ)
9. Ахоўная зона і зона аховы культурнага пласта (слоя) устаноўлены для выяўлення і даследавання магчымых археалагічных артэфактаў на тэрыторыі, непасрэдна прылеглай да гісторыка-культурнай каштоўнасці.
Ахоўная зона супадае з зонай аховы культурнага пласта (слоя).
10. Знешняй мяжой тэрыторыі ахоўнай зоны і зоны аховы культурнага пласта (слоя) згодна з дадаткам з’яўляецца ўмоўная лінія, якая праходзіць праз кропкі 17–18–19–20–21–22–8–9–13–14–23–24–25–26–28–29–30–17.
Унутранай мяжой ахоўнай зоны і зоны аховы культурнага пласта (слоя) з’яўляецца мяжа тэрыторыі гісторыка-культурнай каштоўнасці.
11. На тэрыторыі ахоўнай зоны і зоны аховы культурнага пласта (слоя) забараняецца:
выкананне земляных, будаўнічых і меліярацыйных работ без забеспячэння археалагічнага нагляду і рэалізацыі мер па ахове археалагічных аб’ектаў у адпаведнасці з артыкуламі 129 і 130 Кодэкса Рэспублікі Беларусь аб культуры;
добраўпарадкаванне тэрыторыі, якое пагражае захаванню адметных элементаў пахавальнага комплексу.
|
|
да праекта зон аховы нерухомай |
СХЕМА ЗОН АХОВЫ ГІСТОРЫКА-КУЛЬТУРНАЙ КАШТОЎНАСЦІ

|
|
Пастанова |
Праект зон аховы нерухомай матэрыяльнай гісторыка-культурнай каштоўнасці «Курганныя могільнікі перыяду ранняга сярэднявечча», размешчанай у лесе, за 1,2 км на захад ад могілак у в. Асман-Касаева Бялыніцкага раёна Магілёўскай вобласці
ГЛАВА 1
АГУЛЬНЫЯ ПАЛАЖЭННІ
1. Праект зон аховы нерухомай матэрыяльнай гісторыка-культурнай каштоўнасці «Курганныя могільнікі перыяду ранняга сярэднявечча», размешчанай у лесе, за 1,2 км на захад ад могілак у в. Асман-Касаева Бялыніцкага раёна Магілёўскай вобласці (далей – праект зон аховы), распрацаваны на падставе пункта 3 артыкула 105 Кодэкса Рэспублікі Беларусь аб культуры.
2. «Курганныя могільнікі перыяду ранняга сярэднявечча», размешчаныя ў лесе, за 1,2 км на захад ад могілак у в. Асман-Касаева Бялыніцкага раёна Магілёўскай вобласці, з’яўляюцца нерухомай матэрыяльнай гісторыка-культурнай каштоўнасцю катэгорыі «3» (далей – гісторыка-культурная каштоўнасць), якая ўключана ў Дзяржаўны спіс гісторыка-культурных каштоўнасцей Рэспублікі Беларусь пад шыфрам 513В000334.
3. Праект зон аховы распрацаваны ўстановай адукацыі «Магілёўскі дзяржаўны ўніверсітэт імя А.А.Куляшова» па заказе дзяржаўнай лесагаспадарчай установы «Бялыніцкі лясгас».
4. Праект зон аховы распрацаваны з мэтай забеспячэння захавання гісторыка-культурнай каштоўнасці і яе навакольнага асяроддзя, заключаецца ў вызначэнні мяжы тэрыторыі гісторыка-культурнай каштоўнасці, ахоўнай зоны гісторыка-культурнай каштоўнасці (далей – ахоўная зона), зоны аховы культурнага пласта (слоя) гісторыка-культурнай каштоўнасці (далей – зона аховы культурнага пласта (слоя) і іх межаў, рэжымаў іх утрымання і выкарыстання.
5. Праект зон аховы распрацаваны на падставе архіўна-бібліяграфічных, натурных і археалагічных даследаванняў, аналізу ландшафту.
Схемы зон аховы гісторыка-культурнай каштоўнасці дадаюцца.
ГЛАВА 2
ТЭРЫТОРЫЯ ГІСТОРЫКА-КУЛЬТУРНАЙ КАШТОЎНАСЦІ
6. Тэрыторыя гісторыка-культурнай каштоўнасці ўстаноўлена ў межах груп курганоў (4 і 3 насыпаў) і складаецца з двух участкаў.
7. Мяжой першага ўчастка тэрыторыі гісторыка-культурнай каштоўнасці згодна з дадаткам з’яўляецца ўмоўная лінія, якая праходзіць праз кропкі 1–2–3–4–1.
Мяжой другога ўчастка тэрыторыі гісторыка-культурнай каштоўнасці згодна з дадаткам з’яўляецца ўмоўная лінія, якая праходзіць праз кропкі 9–10–11–12–13–14–9.
8. На тэрыторыі гісторыка-культурнай каштоўнасці выкананне земляных, будаўнічых, меліярацыйных і іншых работ, не звязаных з навуковым вывучэннем гісторыка-культурнай каштоўнасці, магчыма пасля пазбаўлення яе статусу гісторыка-культурнай каштоўнасці ў адпаведнасці з пунктам 4 артыкула 94 Кодэкса Рэспублікі Беларусь аб культуры.
ГЛАВА 3
АХОЎНАЯ ЗОНА. ЗОНА АХОВЫ КУЛЬТУРНАГА ПЛАСТА (СЛОЯ)
9. Ахоўная зона і зона аховы культурнага пласта (слоя) устаноўлены для выяўлення і даследавання магчымых археалагічных артэфактаў на тэрыторыі, непасрэдна прылеглай да гісторыка-культурнай каштоўнасці.
Ахоўная зона супадае з зонай аховы культурнага пласта (слоя) і складаюцца з двух участкаў.
10. Знешняй мяжой тэрыторыі першага ўчастка ахоўнай зоны і зоны аховы культурнага пласта (слоя) згодна з дадаткам з’яўляецца ўмоўная лінія, якая праходзіць праз кропкі 5–6–7–8–5.
Знешняй мяжой тэрыторыі другога ўчастка ахоўнай зоны і зоны аховы культурнага пласта (слоя) згодна з дадаткам з’яўляецца ўмоўная лінія, якая праходзіць праз кропкі 15–16–17–18–19–20–15.
Унутранай мяжой ахоўнай зоны і зоны аховы культурнага пласта (слоя) з’яўляецца мяжа тэрыторыі гісторыка-культурнай каштоўнасці.
11. На тэрыторыі ахоўнай зоны і зоны аховы культурнага пласта (слоя) забараняецца:
выкананне земляных, будаўнічых і меліярацыйных работ без забеспячэння археалагічнага нагляду і рэалізацыі мер па ахове археалагічных аб’ектаў у адпаведнасці з артыкуламі 129 і 130 Кодэкса Рэспублікі Беларусь аб культуры;
добраўпарадкаванне тэрыторыі, якое пагражае захаванню адметных элементаў пахавальнага комплексу.
|
|
да праекта зон аховы нерухомай |
СХЕМЫ ЗОН АХОВЫ ГІСТОРЫКА-КУЛЬТУРНАЙ КАШТОЎНАСЦІ


|
|
Пастанова |
Праект зон аховы нерухомай матэрыяльнай гісторыка-культурнай каштоўнасці «Курганны могільнік-1 і курганны могільнік-2 перыяду ранняга сярэднявечча», размешчанай ва ўрочышчы Бор за 1,3 км на поўдзень ад в. Угальшчына Бялыніцкага раёна Магілёўскай вобласці
ГЛАВА 1
АГУЛЬНЫЯ ПАЛАЖЭННІ
1. Праект зон аховы нерухомай матэрыяльнай гісторыка-культурнай каштоўнасці «Курганны могільнік-1 і курганны могільнік-2 перыяду ранняга сярэднявечча», размешчанай ва ўрочышчы Бор за 1,3 км на поўдзень ад в. Угальшчына Бялыніцкага раёна Магілёўскай вобласці (далей – праект зон аховы), распрацаваны на падставе пункта 3 артыкула 105 Кодэкса Рэспублікі Беларусь аб культуры.
2. «Курганны могільнік-1 і курганны могільнік-2 перыяду ранняга сярэднявечча», размешчаныя ва ўрочышчы Бор за 1,3 км на поўдзень ад в. Угальшчына Бялыніцкага раёна Магілёўскай вобласці, з’яўляюцца нерухомай матэрыяльнай гісторыка-культурнай каштоўнасцю катэгорыі «3» (далей – гісторыка-культурная каштоўнасць), якая ўключана ў Дзяржаўны спіс гісторыка-культурных каштоўнасцей Рэспублікі Беларусь пад шыфрам 513В000398.
3. Праект зон аховы распрацаваны ўстановай адукацыі «Магілёўскі дзяржаўны ўніверсітэт імя А.А.Куляшова» па заказе дзяржаўнай лесагаспадарчай установы «Бялыніцкі лясгас».
4. Праект зон аховы распрацаваны з мэтай забеспячэння захавання гісторыка-культурнай каштоўнасці і яе навакольнага асяроддзя, заключаецца ў вызначэнні мяжы тэрыторыі гісторыка-культурнай каштоўнасці, ахоўнай зоны гісторыка-культурнай каштоўнасці (далей – ахоўная зона), зоны аховы культурнага пласта (слоя) гісторыка-культурнай каштоўнасці (далей – зона аховы культурнага пласта (слоя) і іх межаў, рэжымаў іх утрымання і выкарыстання.
5. Праект зон аховы распрацаваны на падставе архіўна-бібліяграфічных, натурных і археалагічных даследаванняў, аналізу ландшафту.
Схемы зон аховы гісторыка-культурнай каштоўнасці дадаюцца.
ГЛАВА 2
ТЭРЫТОРЫЯ ГІСТОРЫКА-КУЛЬТУРНАЙ КАШТОЎНАСЦІ
6. Тэрыторыя гісторыка-культурнай каштоўнасці ўстаноўлена ў межах двух груп курганных насыпаў (118 і 34 насыпаў) і складаецца з двух участкаў.
7. Мяжой першага ўчастка тэрыторыі гісторыка-культурнай каштоўнасці згодна з дадаткам з’яўляецца ўмоўная лінія, якая праходзіць праз кропкі 1–2–3–4–5–6–7–8–1.
Мяжой другога ўчастка тэрыторыі гісторыка-культурнай каштоўнасці згодна з дадаткам з’яўляецца ўмоўная лінія, якая праходзіць праз кропкі 17–18–19–20–21–22–23–24–25–17.
8. На тэрыторыі гісторыка-культурнай каштоўнасці выкананне земляных, будаўнічых, меліярацыйных і іншых работ, не звязаных з навуковым вывучэннем гісторыка-культурнай каштоўнасці, магчыма пасля пазбаўлення яе статусу гісторыка-культурнай каштоўнасці ў адпаведнасці з пунктам 4 артыкула 94 Кодэкса Рэспублікі Беларусь аб культуры.
ГЛАВА 3
АХОЎНАЯ ЗОНА. ЗОНА АХОВЫ КУЛЬТУРНАГА ПЛАСТА (СЛОЯ)
9. Ахоўная зона і зона аховы культурнага пласта (слоя) устаноўлены для выяўлення і даследавання магчымых археалагічных артэфактаў на тэрыторыі, непасрэдна прылеглай да гісторыка-культурнай каштоўнасці.
Ахоўная зона супадае з зонай аховы культурнага пласта (слоя) і складаюцца з двух участкаў.
10. Знешняй мяжой тэрыторыі першага ўчастка ахоўнай зоны і зоны аховы культурнага пласта (слоя) згодна з дадаткам з’яўляецца ўмоўная лінія, якая праходзіць праз кропкі 9–10–11–12–13–14–15–16–9.
Знешняй мяжой тэрыторыі другога ўчастка ахоўнай зоны і зоны аховы культурнага пласта (слоя) згодна з дадаткам з’яўляецца ўмоўная лінія, якая праходзіць праз кропкі 25–26–27–28–19–20–21–29–30–31–32–24–25.
Унутранай мяжой ахоўнай зоны і зоны аховы культурнага пласта (слоя) з’яўляецца мяжа тэрыторыі гісторыка-культурнай каштоўнасці.
11. На тэрыторыі ахоўнай зоны і зоны аховы культурнага пласта (слоя) забараняецца:
выкананне земляных, будаўнічых і меліярацыйных работ без забеспячэння археалагічнага нагляду і рэалізацыі мер па ахове археалагічных аб’ектаў у адпаведнасці з артыкуламі 129 і 130 Кодэкса Рэспублікі Беларусь аб культуры;
добраўпарадкаванне тэрыторыі, якое пагражае захаванню адметных элементаў пахавальнага комплексу.
|
|
да праекта зон аховы нерухомай |
СХЕМЫ ЗОН АХОВЫ ГІСТОРЫКА-КУЛЬТУРНАЙ КАШТОЎНАСЦІ


|
|
Пастанова |
Праект зон аховы нерухомай матэрыяльнай гісторыка-культурнай каштоўнасці «Гарадзішча перыяду ранняга жалезнага веку», размешчанай на левым беразе р. Лемнічанка, на паўднёва-заходняй ускраіне в. Лемніца Бялыніцкага раёна Магілёўскай вобласці
ГЛАВА 1
АГУЛЬНЫЯ ПАЛАЖЭННІ
1. Праект зон аховы нерухомай матэрыяльнай гісторыка-культурнай каштоўнасці «Гарадзішча перыяду ранняга жалезнага веку», размешчанай на левым беразе р. Лемнічанка, на паўднёва-заходняй ускраіне в. Лемніца Бялыніцкага раёна Магілёўскай вобласці (далей – праект зон аховы), распрацаваны на падставе пункта 3 артыкула 105 Кодэкса Рэспублікі Беларусь аб культуры.
2. «Гарадзішча перыяду ранняга жалезнага веку», размешчанае на левым беразе р. Лемнічанка, на паўднёва-заходняй ускраіне в. Лемніца Бялыніцкага раёна Магілёўскай вобласці, з’яўляецца нерухомай матэрыяльнай гісторыка-культурнай каштоўнасцю катэгорыі «3» (далей – гісторыка-культурная каштоўнасць), якая ўключана ў Дзяржаўны спіс гісторыка-культурных каштоўнасцей Рэспублікі Беларусь пад шыфрам 513В000371.
3. Праект зон аховы распрацаваны ўстановай адукацыі «Магілёўскі дзяржаўны ўніверсітэт імя А.А.Куляшова» па заказе Бялыніцкага сельскагаспадарчага вытворчага кааператыву «Калгас «Радзіма».
4. Праект зон аховы распрацаваны з мэтай забеспячэння захавання гісторыка-культурнай каштоўнасці і яе навакольнага асяроддзя, заключаецца ў вызначэнні мяжы тэрыторыі гісторыка-культурнай каштоўнасці, ахоўнай зоны гісторыка-культурнай каштоўнасці (далей – ахоўная зона), зоны аховы культурнага пласта (слоя) гісторыка-культурнай каштоўнасці (далей – зона аховы культурнага пласта (слоя) і іх межаў, рэжымаў іх утрымання і выкарыстання.
5. Праект зон аховы распрацаваны на падставе архіўна-бібліяграфічных, натурных і археалагічных даследаванняў, аналізу ландшафту.
Схема зон аховы гісторыка-культурнай каштоўнасці дадаецца.
ГЛАВА 2
ТЭРЫТОРЫЯ ГІСТОРЫКА-КУЛЬТУРНАЙ КАШТОЎНАСЦІ
6. Тэрыторыя гісторыка-культурнай каштоўнасці ўстаноўлена ў межах тэрыторыі гарадзішча, якая выяўлена пры правядзенні археалагічных даследаванняў.
7. Мяжой тэрыторыі гісторыка-культурнай каштоўнасці згодна з дадаткам з’яўляецца ўмоўная лінія, якая праходзіць праз кропкі 1–2–3–4–5–6–7–1.
8. На тэрыторыі гісторыка-культурнай каштоўнасці выкананне земляных, будаўнічых, меліярацыйных і іншых работ, не звязаных з навуковым вывучэннем гісторыка-культурнай каштоўнасці, магчыма пасля пазбаўлення яе статусу гісторыка-культурнай каштоўнасці ў адпаведнасці з пунктам 4 артыкула 94 Кодэкса Рэспублікі Беларусь аб культуры.
ГЛАВА 3
АХОЎНАЯ ЗОНА. ЗОНА АХОВЫ КУЛЬТУРНАГА ПЛАСТА (СЛОЯ)
9. Ахоўная зона і зона аховы культурнага пласта (слоя) устаноўлены для выяўлення і даследавання магчымых археалагічных артэфактаў на тэрыторыі, непасрэдна прылеглай да гісторыка-культурнай каштоўнасці.
Ахоўная зона супадае з зонай аховы культурнага пласта (слоя).
10. Ахоўная зона і зона аховы культурнага пласта (слоя) прылягае да гісторыка-культурнай каштоўнасці.
Знешняй мяжой тэрыторыі ахоўнай зоны і зоны аховы культурнага пласта (слоя) згодна з дадаткам з’яўляецца ўмоўная лінія, якая праходзіць праз кропкі 8–9–10–11–12–13–14–15–8.
Унутранай мяжой ахоўнай зоны і зоны аховы культурнага пласта (слоя) з’яўляецца мяжа тэрыторыі гісторыка-культурнай каштоўнасці.
11. На тэрыторыі ахоўнай зоны і зоны аховы культурнага пласта (слоя) забараняецца выкананне земляных, будаўнічых і меліярацыйных работ без забеспячэння археалагічнага нагляду і рэалізацыі мер па ахове археалагічных аб’ектаў у адпаведнасці з артыкуламі 129 і 130 Кодэкса Рэспублікі Беларусь аб культуры.
|
|
да праекта зон аховы нерухомай |
СХЕМА ЗОН АХОВЫ ГІСТОРЫКА-КУЛЬТУРНАЙ КАШТОЎНАСЦІ

|
|
Пастанова |
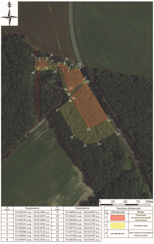
Праект зон аховы нерухомых матэрыяльных гісторыка-культурных каштоўнасцей каля аграгарадка Цехцін Бялыніцкага раёна Магілёўскай вобласці
ГЛАВА 1
АГУЛЬНЫЯ ПАЛАЖЭННІ
1. Праект зон аховы нерухомых матэрыяльных гісторыка-культурных каштоўнасцей каля аграгарадка Цехцін Бялыніцкага раёна Магілёўскай вобласці (далей – праект зон аховы) распрацаваны на падставе пунктаў 2 і 3 артыкула 105 Кодэкса Рэспублікі Беларусь аб культуры.
2. Праект зон аховы распрацаваны для наступных нерухомых матэрыяльных гісторыка-культурных каштоўнасцей (далей, калі не ўказана іншае, – гісторыка-культурныя каштоўнасці), уключаных у Дзяржаўны спіс гісторыка-культурных каштоўнасцей Рэспублікі Беларусь:
«Стаянка-1 і стаянка-2 перыяду позняга неаліту», размешчаныя за 0,2 км на паўночны ўсход ад аграгарадка Цехцін Бялыніцкага раёна Магілёўскай вобласці, катэгорыя «3», шыфр 513В000396;
«Селішча», размешчанае на заходняй ускраіне могільніка ў аграгарадку Цехцін Бялыніцкага раёна Магілёўскай вобласці, катэгорыя «3», шыфр 513В000397.
3. Праект зон аховы распрацаваны ўстановай адукацыі «Магілёўскі дзяржаўны ўніверсітэт імя А.А.Куляшова» па заказе адкрытага акцыянернага таварыства «Новая Друць».
4. Праект зон аховы распрацаваны з мэтай забеспячэння захавання гісторыка-культурных каштоўнасцей і іх навакольнага асяроддзя, заключаецца ў вызначэнні мяжы тэрыторыі гісторыка-культурных каштоўнасцей, ахоўнай зоны гісторыка-культурных каштоўнасцей (далей – ахоўная зона), зоны аховы культурнага пласта (слоя) гісторыка-культурных каштоўнасцей (далей – зона аховы культурнага пласта (слоя) і іх межаў, рэжымаў іх утрымання і выкарыстання.
5. Праект зон аховы распрацаваны на падставе архіўна-бібліяграфічных, натурных і археалагічных даследаванняў, аналізу ландшафту.
Схема зон аховы гісторыка-культурных каштоўнасцей дадаецца.
ГЛАВА 2
ТЭРЫТОРЫЯ ГІСТОРЫКА-КУЛЬТУРНЫХ КАШТОЎНАСЦЕЙ
6. Тэрыторыя гісторыка-культурных каштоўнасцей устаноўлена ў межах тэрыторыі селішча, стаянка-1 і стаянка-2, якая выяўлена пры правядзенні археалагічных даследаванняў.
Тэрыторыя гісторыка-культурных каштоўнасцей складаецца з трох участкаў.
7. Мяжой першага ўчастка тэрыторыі гісторыка-культурнай каштоўнасці (селішча) згодна з дадаткам з’яўляецца ўмоўная лінія, якая праходзіць праз кропкі 1–2–3–4–5–6–7–1.
Мяжой другога ўчастка тэрыторыі гісторыка-культурнай каштоўнасці (стаянка-1) згодна з дадаткам з’яўляецца ўмоўная лінія, якая праходзіць праз кропкі 8–9–10–11–12–8.
Мяжой трэцяга ўчастка тэрыторыі гісторыка-культурнай каштоўнасці (стаянка-2) згодна з дадаткам з’яўляецца ўмоўная лінія, якая праходзіць праз кропкі 13–14–15–16–17–18–13.
8. На тэрыторыі гісторыка-культурных каштоўнасцей выкананне земляных, будаўнічых, меліярацыйных і іншых работ, не звязаных з навуковым вывучэннем гісторыка-культурных каштоўнасцей, магчыма пасля пазбаўлення іх статусу гісторыка-культурных каштоўнасцей у адпаведнасці з пунктам 4 артыкула 94 Кодэкса Рэспублікі Беларусь аб культуры.
ГЛАВА 3
АХОЎНАЯ ЗОНА. ЗОНА АХОВЫ КУЛЬТУРНАГА ПЛАСТА (СЛОЯ)
9. Ахоўная зона і зона аховы культурнага пласта (слоя) устаноўлены для выяўлення і даследавання магчымых археалагічных артэфактаў на тэрыторыі, непасрэдна прылеглай да гісторыка-культурнай каштоўнасці.
Ахоўная зона супадае з зонай аховы культурнага пласта (слоя).
10. Ахоўная зона і зона аховы культурнага пласта (слоя) прылягае да гісторыка-культурнай каштоўнасці.
Ахоўная зона і зона аховы культурнага пласта (слоя) складаецца з двух участкаў.
11. Першы ўчастак ахоўнай зоны і зоны аховы культурнага пласта (слоя) устаноўлены вакол тэрыторыі селішча і стаянкі-1.
Знешняй мяжой першага ўчастка тэрыторыі ахоўнай зоны і зоны аховы культурнага пласта (слоя) згодна з дадаткам з’яўляецца ўмоўная лінія, якая праходзіць праз кропкі 19–20–21–22–23–24–25–26–27–28–29–30–31–32–11–12–7–1–19.
Унутранай мяжой першага ўчастка ахоўнай зоны і зоны аховы культурнага пласта (слоя) з’яўляецца мяжа тэрыторыі селішча і стаянкі-1.
12. Другі ўчастак ахоўнай зоны і зоны аховы культурнага пласта (слоя) устаноўлены вакол тэрыторыі стаянкі-2.
Знешняй мяжой другога ўчастка тэрыторыі ахоўнай зоны і зоны аховы культурнага пласта (слоя) згодна з дадаткам з’яўляецца ўмоўная лінія, якая праходзіць праз кропкі 33–34–35–36–37–38–39–40–41–42–43–17–18–13–33.
Унутранай мяжой другога ўчастка ахоўнай зоны і зоны аховы культурнага пласта (слоя) з’яўляецца мяжа тэрыторыі стаянкі-2.
13. На тэрыторыі ахоўнай зоны і зоны аховы культурнага пласта (слоя) забараняецца выкананне земляных, будаўнічых і меліярацыйных работ без забеспячэння археалагічнага нагляду і рэалізацыі мер па ахове археалагічных аб’ектаў у адпаведнасці з артыкуламі 129 і 130 Кодэкса Рэспублікі Беларусь аб культуры.




